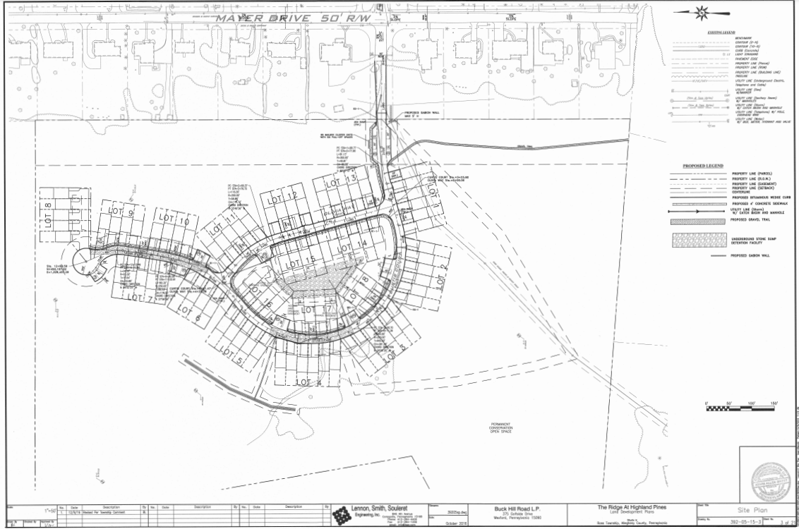
The Ridge At Highland Pines